Realizzazione di un impianto di sollevamento sulla fossa Vicinia in c.c. Mezzocorona

Localizzazione:
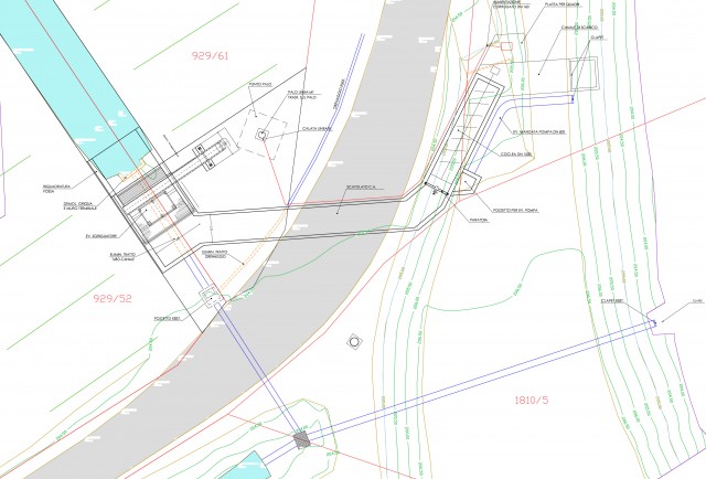
Fossa Vicinia in destra alla fossa Caldaro, corrispondente a parte delle pp.ff. 1948/1 e 929/38 in C.C. Mezzocorona.
Descrizione:
L’intervento prevede la realizzazione di un’idrovora completamente automatizzata dotata di sgrigliatore, coclea per il sollevamento fino a 500 l/s, paratoia manuale per l’eventuale messa in asciutto della vasca di carico, piccola vasca per la predisposizione di un eventuale elettropompa sommergibile, il tutto alimentato esclusivamente da una linea elettrica in bassa tensione.
Il progetto è previsto anche la realizzazione della strada di servizio alla fossa Vicinia larga tre metri sulla sponda destra, imponendo una servitù di passaggio.

Motivazione:
La zona compresa tra la S.P. 90 e il rilevato ferroviario circostante la fossa Vicinia è soggetta a frequenti ristagni d’acqua che compromettono seriamente le coltura dei vigneti.
Urgenza:
Molto elevata perché l’area è notevolmente depressa e altamente esondabile; la mancanza di una strada di servizio alla fossa Vicinia rende poi complicate e maggiormente onerose le operazioni di manutenzione.
Sicurezza:
Anche se la zona menzionata è di tipo agricolo e quindi non è urbanizzata, l’elevato rischio di esondabilità crea oggettivi problemi per la sicurezza delle persone.
Stato di progetto:
I lavori affidati tramite cottimo di realizzazione dell'impianto idrovoro (coclea e pompa di riserva) sono terminati nel settembre 2016. Ora è in fase di elaborazione la variante che prevede il rinforzo della strada agricola nei pressi della nuova idrovora. 
Costo:
L’importo totale della variante è di circa 457’000.00 euro.